Продажа здания (№ 2-496-162)
Цена: 4 755 212 $

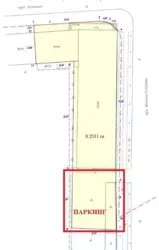
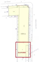
Адрес: Полевая ул., 21, Киев, Соломенский
Характеристики
| Цена: | 4 755 212 $ |
|---|---|
| № объекта: | 2-496-162 |
| Этаж: | 1 / 5 |
| Площадь: | 6175.60 м2 |
| Участок: | 25 сот |
| Дополнительно: | парковка |
Описание
Можна використовувати під офісно-торговий центр, медичний, навчальний заклад або під будь-яке інше призначення.
Загальні характеристики:
Кількість поверхів-5, загальна площа – 6175,6 м2. Площа типового поверху – 1000 м2. Площа земельної ділянки – 0,25 га. Власний паркінг – 0,05 га. Є додаткові місця для паркування вздовж будівлі.
Технічні характеристики:
2 ліфти (вантажний та пасажирський), центральна система опалення, автономна система гарячого водопостачання, електрична потужність на будівлю -150 кВт. Є система вентиляції та димовидалення (витяжні канали). Висота стелі між перекриттями - 3м, чистова висота стель - 2,5-3м.

























